Sign up to get new listings emailed daily! JOIN SIGN IN
Annette Mullen, DRE#00935034, REALTOR®
(805) 440-6620

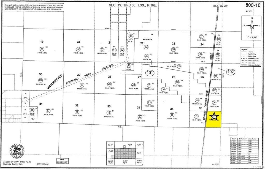
0 Rice Road, Desert Center, CA 92239

$345,000
  • 0 Rice Road, Desert Center, CA 92239 Main Photo

1 Total Photos [Click to View All]

Active
LOT SIZE 141.920 acres MLS#SW25282125
STATUSActive PROPERTY TYPELand - Lot/Land

Listing Courtesy of: Steve Welty & Associates Inc
Agency Phone: 760-773-5538
Associate Name: Steve Welty
IDX logo


Listing Shown by: Farrell Smyth, Inc.
Associate Name: Annette Mullen, DRE#00935034, REALTOR®


Property Description

142± acre flat parcel on Rice Road with approximately 0.5 mile of frontage along Highway 177. Broker-owned property with owner financing available; terms negotiable. The land is generally level and offers a wide range of potential uses including solar development, mitigation land, agricultural use, or a private compound/estate setting. Utilities such as electric and phone are in the area, and wells are present nearby. Front corner markers were reportedly placed years ago. ****No soils reports, surveys, etc., have been done. Buyer and buyer's agent to verify all information with the city or county for allowable uses and requirements and rely on their own investigations. **Buyer responsible for checking zoning, utilities, permits and exact property boundaries. ****

0 Rice Road | MLS# SW25282125

This land located at 0 Rice Road, Desert Center, CA 92239 is currently listed for sale with an asking price of $345,000. The property has approximately 141.92 Acres. Search Desert Center real estate on annettemullen.farrellsmyth.com today.

Property Features

Property Type: Land - Lot/Land
Lot Size: 141.92 Acres

Feature Descriptions

Community Features: Rural
Days on Site: 64
Fencing: None
Lot: Rectangular Lot
Parcel#: 800102001
Sewer: None
Special View Info: Desert
Utilities: None, Sewer Not Available
Water: See Remarks

Listed By / Shown By

Listed By

Agency Name: Steve Welty & Associates Inc
Agency Phone: 760-773-5538
Agent Name: Steve Welty

agent picture

Shown By

Agent Name: Annette Mullen, DRE#00935034, REALTOR®
Agent Phone: (805) 440-6620
Agency Title: Farrell Smyth, Inc.

IDX logo

Estimate Your Payment

Estimated Payment

$ 868.45 per month $767.82 Principal & Interest $0.00 Property Tax (data not provided by mls) $100.63 Homeowner's Insurance

Change Payment Information

%
years/fixed
yearly
yearly (est.)
(Payments are an estimate and may vary by lender)
Disclaimer: All information deemed reliable but not guaranteed. All properties are subject to prior sale, change or withdrawal. Neither listing broker(s) or information provider(s) shall be responsible for any typographical errors, misinformation, misprints and shall be held totally harmless. Listing(s) information is provided for consumers personal, non-commercial use and may not be used for any purpose other than to identify prospective properties consumers may be interested in purchasing. Information on this site was last updated 03/05/2026. The listing information on this page last changed on 03/05/2026. The data relating to real estate for sale on this website comes in part from the Internet Data Exchange program of Delta Media Group MLS (last updated Thu 03/05/2026 12:07:19 AM EST) or CRMLS (last updated Thu 03/05/2026 12:02:21 AM EST). Real estate listings held by brokerage firms other than Farrell Smyth, Inc. may be marked with the Internet Data Exchange logo and detailed information about those properties will include the name of the listing broker(s) when required by the MLS. All rights reserved.
Privacy Policy / DMCA Notice / ADA Accessibility

Login to My Homefinder

Pixel